Description
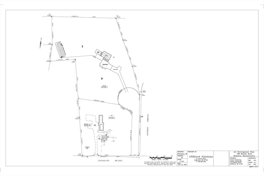
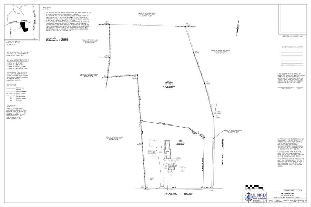
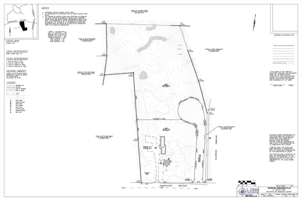
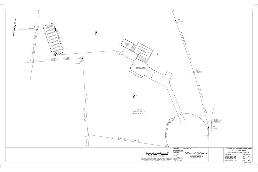
This four acre parcel on a beautiful country road could be your next address. Approved and stamped mylar ANR plan in hand. See attached conceptual drawing with a five bedroom house, a swimming pool and a one bedroom auxiliary dwelling. Use this idea or bring your own. Current plan has a short cul-de-sac, but owner will go for a variance to change to driveway, which the town has sounded open to. Beautiful parcel. Sliver of land owned by another goes along Alpine Road, so no access/driveway there without purchasing from them Unknown as to price for said piece, nor willingness to sell. As it stands now, it is one legal lot. Paperwork with attorney who is registering land at the registry, but it's not yet done. We expect the lot to be flagged in September. Please do not walk without permission as their are dogs on adjacent property who also walk on this land.
School Ratings & Info
Description
This four acre parcel on a beautiful country road could be your next address. Approved and stamped mylar ANR plan in hand. See attached conceptual drawing with a five bedroom house, a swimming pool and a one bedroom auxiliary dwelling. Use this idea or bring your own. Current plan has a short cul-de-sac, but owner will go for a variance to change to driveway, which the town has sounded open to. Beautiful parcel. Sliver of land owned by another goes along Alpine Road, so no access/driveway there without purchasing from them Unknown as to price for said piece, nor willingness to sell. As it stands now, it is one legal lot. Paperwork with attorney who is registering land at the registry, but it's not yet done. We expect the lot to be flagged in September. Please do not walk without permission as their are dogs on adjacent property who also walk on this land.
Related Properties
The property listing data and information set forth herein were provided to MLS Property Information Network, Inc. from third party sources, including sellers, lessors and public records, and were compiled by MLS Property Information Network, Inc. The property listing data and information are for the personal, non commercial use of consumers having a good faith interest in purchasing or leasing listed properties of the type displayed to them and may not be used for any purpose other than to identify prospective properties which such consumers may have a good faith interest in purchasing or leasing. MLS Property Information Network, Inc. and its subscribers disclaim any and all representations and warranties as to the accuracy of the property listing data and information set forth herein. Data last updated 2026-03-16T00:03:21.143.
