Description
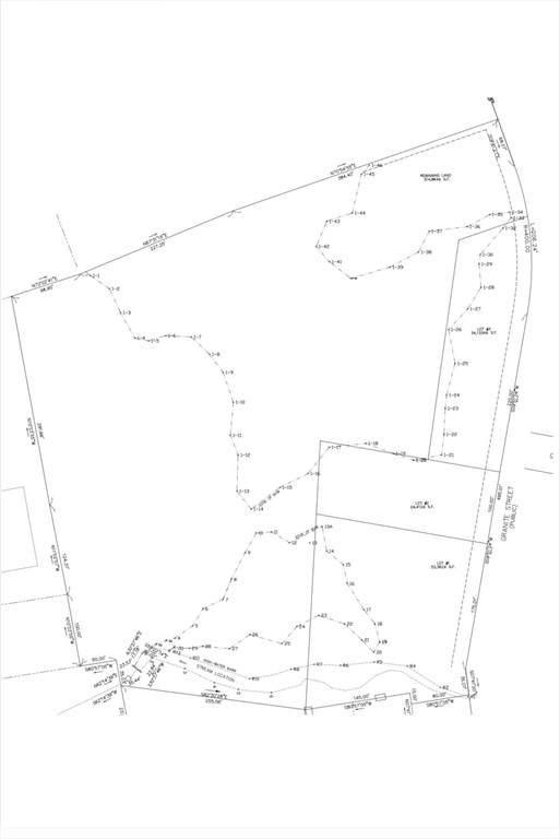
Build your future on this buildable house lot located on Granite Street in Worcester. This parcel comes with a recent perc test done in August of 2025, offering added confidence for residential development for Single Family or Duplex living. Conveniently situated near major routes, schools, shopping, and city amenities, the lot provides an excellent opportunity for builders or buyers looking to create a custom home in an established neighborhood. Enjoy city access while maintaining flexibility in design and development. A rare chance to secure a ready-to-build lot in Worcester—bring your plans and vision.
School Ratings & Info
Description
Build your future on this buildable house lot located on Granite Street in Worcester. This parcel comes with a recent perc test done in August of 2025, offering added confidence for residential development for Single Family or Duplex living. Conveniently situated near major routes, schools, shopping, and city amenities, the lot provides an excellent opportunity for builders or buyers looking to create a custom home in an established neighborhood. Enjoy city access while maintaining flexibility in design and development. A rare chance to secure a ready-to-build lot in Worcester—bring your plans and vision.
The property listing data and information set forth herein were provided to MLS Property Information Network, Inc. from third party sources, including sellers, lessors and public records, and were compiled by MLS Property Information Network, Inc. The property listing data and information are for the personal, non commercial use of consumers having a good faith interest in purchasing or leasing listed properties of the type displayed to them and may not be used for any purpose other than to identify prospective properties which such consumers may have a good faith interest in purchasing or leasing. MLS Property Information Network, Inc. and its subscribers disclaim any and all representations and warranties as to the accuracy of the property listing data and information set forth herein. Data last updated 2026-03-06T18:04:05.757.
