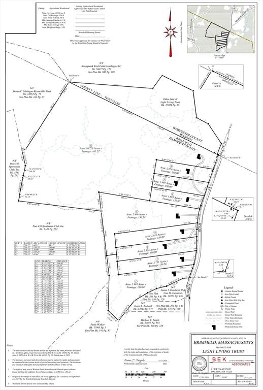
Description
First time offered, newly created Brimfield residential parcels recently created from a larger portion of forest land. Four lots currently available for sale. 293 Warren Rd. is a 2.7 acre lot with roughed in curb cut access, to a private setting for your dream home. Beyond the house site is a perennial brook and woodlands. Need more land? Parcel 291 Warren Road is a 5 acre parcel, or combine both for a total of 7 acres. Assessment and taxes to be determine. 293 Warren Road is also known as Lot #2.
School Information
Description
First time offered, newly created Brimfield residential parcels recently created from a larger portion of forest land. Four lots currently available for sale. 293 Warren Rd. is a 2.7 acre lot with roughed in curb cut access, to a private setting for your dream home. Beyond the house site is a perennial brook and woodlands. Need more land? Parcel 291 Warren Road is a 5 acre parcel, or combine both for a total of 7 acres. Assessment and taxes to be determine. 293 Warren Road is also known as Lot #2.
The property listing data and information set forth herein were provided to MLS Property Information Network, Inc. from third party sources, including sellers, lessors and public records, and were compiled by MLS Property Information Network, Inc. The property listing data and information are for the personal, non commercial use of consumers having a good faith interest in purchasing or leasing listed properties of the type displayed to them and may not be used for any purpose other than to identify prospective properties which such consumers may have a good faith interest in purchasing or leasing. MLS Property Information Network, Inc. and its subscribers disclaim any and all representations and warranties as to the accuracy of the property listing data and information set forth herein. Data last updated 2026-03-13T00:04:02.96.
