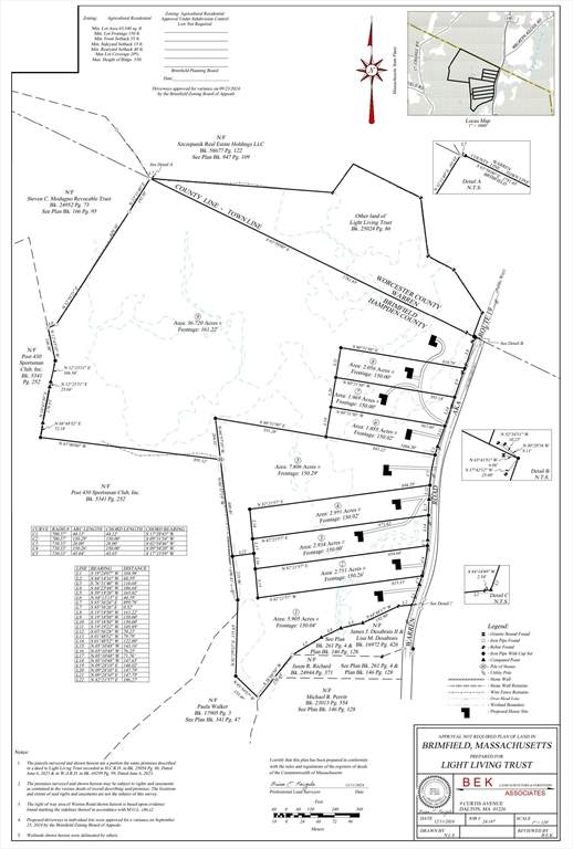
Description
Newly created parcels are now available for sale. 291 Warren Road is a 5 acre parcel with a curb cut to private house site; a 150+' of Taylor Brook, a perennial stream running in the back yard and acres of woodland ideal for walking trails. Also for sale is a 293 Warren Rd 2.7 acre parcel; 301 Warren 7.8 acre parcel and 305 Warren Rd with 1.8 acres. See MLS listings for each individual parcel. Assessment and taxes to be determine.
School Information
Description
Newly created parcels are now available for sale. 291 Warren Road is a 5 acre parcel with a curb cut to private house site; a 150+' of Taylor Brook, a perennial stream running in the back yard and acres of woodland ideal for walking trails. Also for sale is a 293 Warren Rd 2.7 acre parcel; 301 Warren 7.8 acre parcel and 305 Warren Rd with 1.8 acres. See MLS listings for each individual parcel. Assessment and taxes to be determine.
The property listing data and information set forth herein were provided to MLS Property Information Network, Inc. from third party sources, including sellers, lessors and public records, and were compiled by MLS Property Information Network, Inc. The property listing data and information are for the personal, non commercial use of consumers having a good faith interest in purchasing or leasing listed properties of the type displayed to them and may not be used for any purpose other than to identify prospective properties which such consumers may have a good faith interest in purchasing or leasing. MLS Property Information Network, Inc. and its subscribers disclaim any and all representations and warranties as to the accuracy of the property listing data and information set forth herein. Data last updated 2026-03-16T00:03:21.143.
